
Capture Precise Site Data From Above
Advanced airborne and terrestrial measurement services deliver accurate models that support smarter planning and design decisions.




Measure Your Site With Proven Precision
Detailed models and verified measurements support every phase in Florida and Alabama
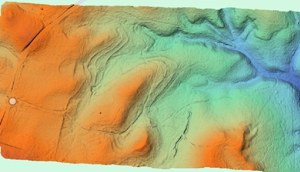
When you're planning a project in Hilliard and throughout the Southeast, understanding the true shape and condition of your site is essential before design work begins. Aerial Metrology & Inspection provides advanced reality-capture and measurement services that combine airborne LiDAR, terrestrial LiDAR, and photogrammetry to deliver highly accurate site data. Contractors, developers, and homeowners rely on this information to make informed decisions from the earliest stages through final delivery.
You'll receive detailed models, reports, and verified measurements that reflect real-world conditions and support confident planning. Whether you're evaluating grading challenges, preparing material estimates, or confirming that construction aligns with approved plans, the data you work with needs to be dependable. Our approach ensures you have a clear picture of your site in Hilliard so you can move forward without guesswork or unexpected surprises.
Aerial Metrology & Inspection helps you reduce costly overruns, improve estimating accuracy, and verify that every phase of your project meets design intent and quality standards. We also offer subcontracting options that integrate seamlessly with your team's workflow and schedule.
Reach out to discuss your project needs and learn how our measurement services serve contractors and property owners in Hilliard and throughout the Southeast.

Our services are ideal for architectural surveying firms, engineering companies, and construction professionals, providing comprehensive support across a wide range of project needs.

Coordinated Data Delivery and Project Expectations
Knowing what to expect from your measurement partner makes planning easier and keeps everyone on the same page. We walk you through each stage of the data-capture process so you understand the timeline, deliverables, and how the information will be formatted for your team. From initial flight planning to final model delivery, every step is documented and shared with clarity so there's no confusion about scope or output.
You'll know when fieldwork is scheduled, what equipment will be deployed, and how long processing will take before final files reach your inbox. This level of coordination ensures you can plan around our work and integrate the data into your design, estimating, or verification workflows without delays or miscommunication.
Our reality-capture and measurement services are built to support a range of project needs:
- Sitework and building quantity take-offs provide the detailed material and earthwork measurements that improve estimating accuracy and prevent budget overruns during construction
- Volumetric analysis delivers precise calculations for informed decision-making when grading, excavation, or material movement is involved
- Construction verification and as-built documentation confirm that your project is built to design and meets quality standards at every milestone
- Residential home site consulting offers homeowners and builders in Hilliard clear guidance on buildability, grading, and efficient home placement before construction begins
Contact us to schedule a consultation and see how our coordinated approach serves your project in Hilliard and throughout the Southeast.
We Work Directly With Our
Licensed Surveyor Partners
Build Confidence With Verified Project Documentation!
Dependable Service Rooted in Local Knowledge
Aerial Metrology & Inspection has worked across a variety of sites in Hilliard, and that familiarity with local terrain and building conditions helps us deliver results you can trust. We understand the importance of accuracy when projects depend on verified measurements, and we take accountability for the data we provide. Every flight plan, scan session, and model output is reviewed to ensure it reflects the true conditions of your site.
You're working with a team that values professionalism and follows through on every commitment. From the first conversation to final delivery, we maintain a steady focus on quality and reliability so you can build your plans with confidence. Our subcontracting options also mean we can integrate with your existing team and support your workflow without disruption.
If you'd like to discuss your upcoming project or learn more about how our measurement and inspection services can support your goals, call Aerial Metrology & Inspection or send a message—we're here to help property owners and contractors throughout Hilliard.



